- Home
- Companies
- Directional Technologies, Inc.
- Articles
- How to Remediate under an Intersection ...
How to Remediate under an Intersection with Horizontal Wells
Roadway intersections within urban settings are arguably some of the most challenging areas for subsurface remediation.
Many consultants tasked with remediation of challenging sites such as these become frustrated by the inability of a vertical remediation system to influence the area of concern and/or they are anxious that they will not efficiently bring their clients’ sites to closure. Horizontal remediation wells provide a cost-effective solution for in-situ remediation of inaccessible plumes beneath intersections.
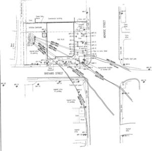
Commonly at intersections in highly developed areas, one or more of the corner properties has at some point been operated as a gasoline station, automotive service shop, or dry-cleaners, and contributed to contaminated soil and groundwater beneath the intersection. One such scenario was at a busy intersection in Tallahassee, Florida, just half a block away from the Governor’s Mansion. An automotive service shop once operated at the northwestern street corner, contributing to offsite migration of a gasoline release from the underground storage tanks previously located at the site.
A creative remedial solution was needed to access the plume. Based on the consultant’s previous successful project with Directional Technologies, a horizontal air sparge / soil vapor extraction (AS/SVE) system was selected as the remediation strategy.
Background
Located near downtown Tallahassee, Florida, the site is the former Gary Johnson Tire facility which operated as an automobile service facility and gasoline station for several decades. Four underground storage tanks (USTs), located at the southeastern portion of the site, included gasoline USTs, a diesel UST, and an used oil UST. The USTs were either abandoned in place or removed from the ground in the 1980s and 1990s. Assessment activities conducted from 2002 through 2005 at the site identified a contaminate plume extending southeastward beneath the intersection and adjacent properties. Onsite remediation consisted of a vertical air sparge/multiphase extraction system. Installation of the vertical system began in 2007 and the system operated from 2008 through 2011, and successfully treated the on-site contamination beneath the facility.
Remedial Challenges
Over the decades, groundwater flow toward the south transferred contamination diagonally across the intersection, making it virtually impossible to gain access to the plume through vertical wells. In addition, off-site access across the intersection was extremely limited due to heavy vehicular traffic patterns, multiple utilities located with state and city right-of-ways, and potential disruption to adjacent business activities. Accessing these areas for vertical remediation wells to would be extremely difficult. Not to mention, the majority of the contamination beneath the intersection would not be directly influenced by additional vertical AS/SVE wells. Alternative remedial techniques were required which provided direct access to the contaminate plume beneath the intersection. The combination of the consultant’s previous experience with horizontal wells provided in-depth insight to the appropriate horizontal remedial design for the project.
Approach and Activities
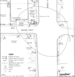
The remediation approach selected was installation of four pairs of horizontal AS/SVE wells. Four total horizontal AS wells were installed beneath the intersection at target depths of 33 feet below land surface (BLS) within the saturated zone, approximately 7 feet below the average groundwater table. Each AS well was coupled with a horizontal SVE well installed directly above the AS well at depths of approximately 20 feet BLS within the vadose zone. The horizontal AS/SVE wells were constructed of 4-inch HDPE with software engineered well screen for desired airflow rates.
The horizontal well entry points were on-site to the west of the building, near the location of the AS/SVE remediation equipment.
Blind vs. Entry-Exit
Offsite properties across the intersection from the facility would not allow for exit locations for the horizontal wells. Therefore, the horizontal AS/SVE wells were designed for “blind” or “single-ended” installation, meaning exit points for the wells were not required and the terminus of the horizontal wells would be beneath the offsite properties.
Compound Curved Wells
The horizontal AS/SVE system was designed to influence a broad area beneath the intersection. However, the entry location for horizontal wells was restricted to one area west of the on-site building. Therefore, sufficient influence of the contaminate plume was accomplished with compound curvature of the well paths, meaning the horizontal wells curved toward the target treatment area while also curving toward a horizontal zero pitch. The horizontal wells accurately followed their compound curves by combining downhole sonde locating equipment with continuous calculation of wellbore depths and topographic survey points of the uneven ground surface.
Remediation Results
The eight horizontal wells were completed within a five week period and initial operation of the AS/SVE system began in October 2012.
The SVE system provided 4-inches of mercury vacuum and 1,100 actual cubic feet per minute (acfm) of influent airflow. The air-sparge compressor operated at 12 pounds per square inch (psi) with a measured airflow of 100 scfm. During the first month of system operation the estimated rate of mass removal was 12.21 pounds of hydrocarbons per day.
The radius of influence of the horizontal AS/SVE wells extended over the entire area of the intersection.
The horizontal AS/SVE system operated from October 2012 through October 2014. The air sparge components of the system were restarted in April 2015 and operated through 2016. Analytical data from subsequent groundwater sampling indicated significant reductions of total BTEX concentrations from baseline.
The site is currently in post remediation monitoring.
Without the implementation of the horizontal remediation plan, the impact beneath the intersection would remain in-place and continue to pose a potential threat to human health and the environment.
Horizontal AS/SVE wells successfully provided the necessary solution to remediate the petroleum impact beneath the intersection.
References:
AMEC Environmental and Infrastructure, Inc., (November 9, 2012) Remedial Action Startup Report with As-Built Drawings, Gary Johnson Tire – Tallahassee, Leon County, Florida. FDEP Facility ID No. 379103601.
Amec Foster Wheeler (June 12, 2017) Post Active Remedial Action Report, Gary Johnson Tire – Tallahassee, Leon County, Florida. FDEP Facility ID No. 37/9103601.







